Service Guide

Get Ants Extermination Service

Local contractors provide ant extermination services to eliminate infestations and protect properties from damage caused by ants.

Ants can quickly become a persistent nuisance for property owners, making effective extermination services an important consideration. Whether you're dealing with an ongoing invasion or seeking to prevent future infestations, finding reliable local contractors can help address the issue efficiently. Exploring your options and planning a pest management project ensures that you select a service provider equipped to handle the specific needs of your property.

Comparing nearby service providers allows property owners to evaluate the range of solutions available and choose the best approach for their circumstances. By reviewing local ants extermination services, you can identify experienced contractors capable of delivering targeted and effective pest control. Keep reading to learn more about how to connect with trusted professionals in your area.

Get Ants Extermination Service Quotes

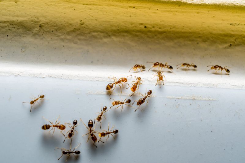
  • Ants Extermination - needed when ants invade kitchens or pantry areas.
  • Ants Nest Removal - required if ants establish nests inside walls or under the foundation.
  • Ant Control for Commercial Properties - necessary for businesses experiencing ant infestations on their premises.
  • Outdoor Ant Barrier Services - suitable when ants are found around lawns, gardens, or outdoor structures.
  • Ant Prevention Treatments - recommended to keep ants from returning after an initial extermination.
Ants Extermination Service
Ants Extermination Service
Ants Extermination Service

Ants extermination services involve identifying and eliminating ant colonies that have invaded a property. Skilled service providers use targeted treatments to remove ants from indoor and outdoor areas, helping to restore a pest-free environment. These services typically include inspection to locate ant nests, application of effective extermination methods, and advice on preventing future infestations. The goal is to address the problem thoroughly, ensuring that ants do not return and cause ongoing issues.

Many property owners turn to ants extermination services when they notice persistent ant trails, large colonies, or ant activity around their homes or businesses. Ant problems can lead to damage, especially if they invade kitchens, pantries, or food storage areas. Additionally, some ant species can pose health concerns or become a nuisance, making professional extermination a practical solution. These services are often sought after when DIY methods fail to control the infestation or when a large or stubborn colony is involved.

Ants tend to invade a variety of properties, including single-family homes, apartment complexes, restaurants, and commercial buildings. Homes with cracks in walls, gaps around windows, or improperly sealed entry points are especially vulnerable to ant invasions. Commercial properties, such as food establishments, also frequently require professional extermination to maintain hygiene standards and prevent contamination. Service providers can tailor their approach to suit different property types, ensuring effective removal regardless of the size or nature of the infestation.

Choosing a local contractor for ants extermination services offers a practical way to address pest problems efficiently. These specialists have experience in handling various ant species and understand how to apply treatments safely and effectively. Whether dealing with a small ant trail or a large colony, property owners can rely on local pros to assess the situation accurately, recommend appropriate solutions, and help prevent future invasions. Connecting with a qualified service provider ensures that ant issues are managed professionally, minimizing disruption and safeguarding the property.

The overview below groups typical Ants Extermination Service projects into broad ranges so you can see how smaller, mid-sized, and larger jobs often compare in your area.

In many markets, a large share of routine jobs stays in the lower and middle ranges, while only a smaller percentage of projects moves into the highest bands when the work is more complex or site conditions are harder than average.

Basic Ant Control - Typical costs for routine ant extermination services range from $250 to $600 for many smaller jobs. Most projects in this band involve treating visible ant trails and nests in accessible areas. Fewer projects require extensive treatments that can push costs higher.

Standard Treatment Packages - Many local contractors offer comprehensive ant control plans averaging between $600 and $1,200. These often include multiple visits and targeted baiting or spraying to address ongoing ant activity. Larger or more stubborn infestations may fall outside this range.

Large or Complex Infestations - For extensive ant problems involving multiple colonies or hard-to-reach areas, costs can range from $1,200 to $3,000 or more. Such projects are less common but necessary for severe or persistent infestations requiring specialized methods.

Full Property Extermination - Complete property treatments, including perimeter and interior work, typically range from $2,000 to $5,000+. These are usually reserved for severe infestations affecting entire homes or commercial spaces, with many projects falling in the middle of this spectrum.

Actual totals will depend on details like access to the work area, the scope of the project, and the materials selected, so use these as general starting points rather than exact figures.

Get a Quote

Pest Control for Cockroaches - professionals use similar inspection, treatment, and prevention techniques to eliminate pest infestations in residential and commercial spaces.

Termite Treatment Services - involve planning and executing targeted treatments to eradicate subterranean and drywood termites, requiring similar skills in pest identification and control methods.

Rodent Exclusion Projects - focus on sealing entry points and implementing trapping strategies, sharing planning and inspection skills with ant extermination services.

Bed Bug Removal - require detailed inspections and specialized treatments, paralleling ant control procedures to ensure complete eradication.

Spider Control Solutions - involve inspecting for webs and applying targeted treatments, utilizing similar pest management tools and planning as ant extermination.

Mosquito Control Services - include identifying breeding sites and applying larvicides, sharing environmental assessment skills with ant pest control projects.

Ants Extermination Service

When comparing local contractors for ant extermination services, it’s important to consider their experience handling similar projects. A provider with a proven track record in managing ant infestations can offer insights into effective treatment methods and help ensure the job is done thoroughly. Asking about the types of properties they have worked on and the complexity of previous cases can give a clearer picture of their capability to address specific needs.

Clear written expectations are essential for a smooth service experience. Reputable service providers should be able to present detailed descriptions of their treatment procedures, what homeowners can expect during and after the service, and any necessary follow-up steps. Having this information in writing helps prevent misunderstandings and ensures that everyone is aligned on the scope of work and desired outcomes.

Good communication and reputable references are key indicators of dependable local contractors. Service providers who are responsive and transparent in their communication tend to be easier to work with and more reliable. Additionally, seeking references or reviews from past clients can provide valuable insights into the quality of their work, professionalism, and overall customer satisfaction. Remember, the site serves as a resource to connect homeowners with trusted local options, not to perform the work directly.

Get an Ants Extermination Service Quote

Property owners use Ants Extermination Service services for practical projects around their homes and businesses. This guide focuses on everyday jobs and straightforward project options.

Ants Extermination Service
Ants Extermination Service

Ants can become a common nuisance for property owners dealing with everyday issues such as food contamination, persistent trails in kitchens, or small infestations around the foundation. These situations often prompt homeowners or business owners to seek the assistance of local contractors who specialize in pest control and ant extermination. Whether it’s a minor invasion or a more widespread problem, experienced service providers can help address the situation effectively, preventing further issues and maintaining a clean, pest-free environment.

In many cases, property owners turn to local experts when ants appear unexpectedly or when previous attempts to manage the problem have failed. Ants can invade outdoor spaces like gardens or patios, or find their way indoors through tiny cracks and gaps, making professional intervention a practical solution. Service providers in the area can assess the specific circumstances, recommend appropriate treatment options, and help ensure that ant problems are resolved efficiently to restore comfort and safety to the property.

Get an Ants Extermination Service Quote

How can I identify an ant infestation in my home? Signs of an ant infestation include visible trails, small piles of soil or debris near entry points, and the presence of ants indoors or around the foundation.

What methods do local contractors use to eliminate ants? Service providers typically use baiting, trapping, and targeted treatments to effectively control ant populations and prevent future infestations.

Are ant extermination services safe for pets and children? Many local pros use treatments designed to minimize risks, but it's advisable to discuss safety concerns directly with the service provider before treatment.

Can ant extermination services prevent future invasions? Yes, many contractors offer preventative measures such as sealing entry points and advising on sanitation to help reduce the chance of future ant problems.

How do I choose the right local contractor for ant extermination? Consider reviewing credentials, experience, and customer reviews to find a reputable service provider suited to your needs.

Identify ant infestations early - property owners can use this service to detect and address ant problems before they spread extensively.

Protect outdoor gardens and landscaping - local contractors can help create a barrier to keep ants from damaging plants and flowers.

Maintain a pest-free indoor environment - homeowners can ensure their living spaces remain free of ants and related pests.

Prepare for seasonal ant activity - property owners can schedule treatments to prevent ant invasions during peak times.

Ants Extermination Service

If you are thinking about Ants Extermination Service for a property, this guide is meant to help you understand the work, the typical project types, and how different options might fit your plans.

When you are ready, you can use the quote form on this page to share a few details about your project. From there, local pros can review the basics and respond with options that match what you have in mind.

Get a Quote

Ants Extermination Quotes